| イヌビワ クワ科 Ficus erecta |
| 別名:イタビ、イタブ、コイチジク 古名:ちち |
| 性状:落葉低木 |
| 原産地:日本(関東以南〜琉球)、台湾、朝鮮半島南部 |
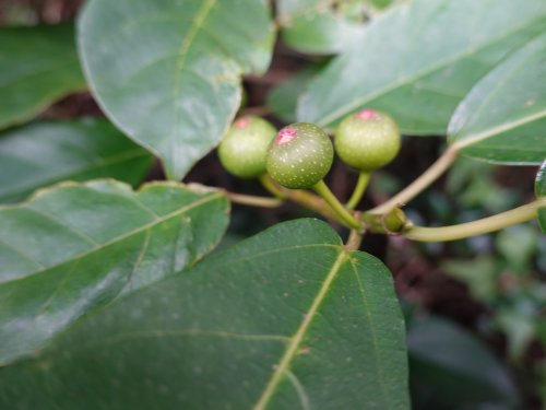
| 特徴など:雌雄異株の樹木で雌になった実は甘みがあり食べられる。実は小さなイチジクのようです。ゴムの木の仲間なので、幹や茎が傷つくと白い乳液が出てきます。葉は触るとざらざらした感じ。冬近くなると黄葉するんですね。光に透けて目立つのでとてもきれいです。(写真:国内) |
| 和歌:ちちの実の父の命柞葉の母の命 おぼろかに情尽して念ふらむ・・・(万葉集:巻一九の四一六四) |

(4月撮影:島根県) |

(4月撮影:島根県) |
 |

(4月撮影:国内) |

(4月撮影:国内) |

(4月撮影:国内) |

(12月撮影:愛知県) |

(12月撮影:愛知県) |

(12月撮影:愛知県) |

(12月撮影:愛知県) |

(12月撮影:愛知県) |

(12月撮影:愛知県) |

(1月撮影:東京) |

(1月撮影:東京) |

(1月撮影:東京) |

(7月撮影:東京) |

(5月撮影:台湾) |

(5月撮影:台湾) |

(5月撮影:台湾) |

(5月撮影:台湾) |

(5月撮影:台湾) |
|

(5月撮影:台湾) |

(5月撮影:東京) |

(5月撮影:東京) |

(5月撮影:東京) |

(5月撮影:東京) |

(5月撮影:東京) |

(5月撮影:高知) |

(6月撮影:台湾) |

(6月撮影:台湾) |

(6月撮影:台湾) |
| 他のサイトへリンクしています↓(購入したい方向け・時期により販売していない場合や表示価格の変更もあります。) |
![[商品価格に関しましては、リンクが作成された時点と現時点で情報が変更されている場合がございます。] [商品価格に関しましては、リンクが作成された時点と現時点で情報が変更されている場合がございます。]](https://hbb.afl.rakuten.co.jp/hgb/124fbba4.14ba34dd.124fbba5.fd87647a/?me_id=1223811&item_id=10026453&pc=https%3A%2F%2Fthumbnail.image.rakuten.co.jp%2F%400_mall%2Fyukei%2Fcabinet%2Fi%2F26%2F5952.jpg%3F_ex%3D240x240&s=240x240&t=picttext) | 苗:イヌビワ 価格:990円(税込、送料別) (2023/4/29時点) |
|
|
|